
70岁的张桂华(化名)老人最近被髋关节疼痛困扰,坐立难安,甚至夜不能寐。按照老人的描述,“就像石头长在肉里,磨着疼!”香港马会app (南华大学附属香港马会app )运动医学科主任丑克为老人进行针对性检查后表示,老人对疼痛的描述还真不是夸张,他患上的是右髋关节钙化性肌腱炎。本应该存在于骨骼中的钙质,在柔软的肌腱组织中沉积,形成了坚硬的“小石子”,让人产生剧烈的疼痛。
据张桂华回忆,半月前,自己的右大腿根部突然疼痛。起初为活动后隐隐作痛,后来逐渐发展为持续性钝痛。久坐、行走、爬楼梯时疼痛明显,晚上疼得根本睡不了觉。老人辗转多个医院求医,医生都建议用口服药、限制活动等保守治疗,可老人疼痛症状一直并未得到缓解。
3月28日,在亲戚的推荐下,老人来到香港马会app
运动医学科门诊就诊,完善X线及核磁共振检查,考虑诊断为“右髋关节钙化性肌腱炎”并入院接受治疗。丑克主任团队为老人进行了髋关节镜微创手术,术后老人疼痛症状明显消退。老人开心地表示:“做完手术就不痛啦,效果立竿见影”。
什么是髋关节钙化性肌腱炎呢?
丑克主任介绍,在人体活动频繁的关节处,肌腱如同一根根坚韧的绳索,日复一日地承受着身体的重量和运动的压力。当肌腱内部发生退行性变、微小损伤积累、血液循环障碍等情况时,都可能导致钙盐在肌腱组织中的异常沉积。就像年久失修的老房子会出现墙皮脱落一样,长期使用不当或过度使用的肌腱也会出现这种“钙化”现象,使得原本应该存在于骨骼中的钙质,开始在柔软的肌腱组织中沉积,形成了一个个像“小石子”般坚硬的钙化灶,引发钙化性肌腱炎,产生剧烈的疼痛。

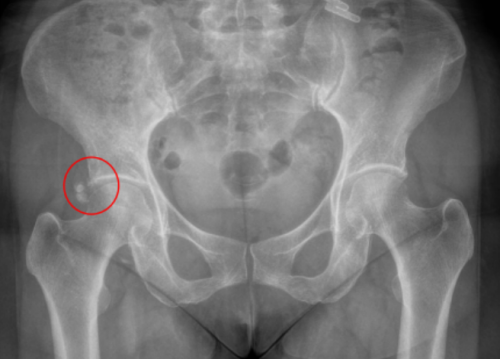
红圈内的“小石子”就是患者右髋关节处钙化灶
“钙化性肌腱炎是钙盐沉着于肌腱(最常见于肩关节的肩袖肌腱)中,导致关节疼痛和功能障碍的一种疾病。”丑克主任介绍,髋部钙化性肌腱炎发病罕见,通常是无诱因的突发关节剧痛,臀部或髋部疼痛,且症状在运动后加重。这些疼痛可能会向下放射至大腿前侧甚至小腿,也可能伴有运动障碍、晨僵等症状,严重时甚至会影响到日常活动和工作。
钙化性肌腱炎发病急、发病快、疼痛剧烈。许多患者都是在毫无预兆的情况下突然感到肩部或髋部剧烈疼痛,连最基本的日常活动都难以完成。更令人困惑的是,这种疼痛往往没有明显的外伤史,就像是一个潜伏已久的“定时炸弹”突然爆炸。
这种疼痛往往具有以下几个特点:
1. 疼痛程度剧烈:犹如刀割般疼痛,夜间尤为明显;
2. 疼痛部位固定:集中在肩关节或髋关节周围;
3. 疼痛放射广泛:可放射至上臂或大腿;
4. 疼痛持续时间长:急性发作期可持续数周甚至数月。
如何发现与诊断钙化性肌腱炎呢?
钙化性肌腱炎的确诊需要借助多种检查手段。X光片上可以看到肌腱中特有的钙化阴影;超声检查则能更直观地观察到钙化灶的形态和分布;磁共振成像能够清晰显示病变范围及其对周围组织的影响。

关节镜下髋关节内情况
治疗方面,保守疗法包括药物止痛、物理治疗、局部注射等方法。但由于钙化灶的存在,保守治疗往往只能暂时缓解症状,难以彻底解决问题,手术治疗则是更为直接有效的选择。通过关节镜微创技术清除钙化灶,修复受损肌腱。该手术具有创伤小、恢复快、直视下精准操作、清除彻底,效果立竿见影、并发症少,安全性高等优点。

术前、术后三维CT对比示意钙化灶已清除
丑克提醒,虽然髋关节钙化性肌腱炎的发病机制尚不完全清楚,但科学运动和适度锻炼可以有效降低发病风险。一旦出现肩部或髋部无明显诱因的突发性剧烈疼痛,且不能缓解,应及时就医,避免延误治疗。
供稿丨运动医学科 欧阳成茜 谷云 宣传部 朱文青
一审丨运动医学科 丑克
二审丨宣传部 李晶
三审丨宣传部 周阳